鉢植えで、アボカドを育てています。
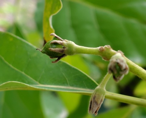
先日のブログで報告した着果した5つは、今も残っています。
ネットで調べると、開花した花が結果するのは、1万分の1だそうです。
結果率は、0.01%です。
私の育てているアボカドは、数百個ほどしか開花していないので、収穫できる可能性はものすごく低いです。
アボカドは、ものすごく希少で貴重だと思います。
それなのに、スーパーに並んでいるメキシコ産のアボカドは、何故あんなに安いのか不思議です。
ネットで調べると、メキシコでは、年に4回開花し、4回収穫できるそうです。
なるほど、凄いですね!
昨日は、家事と買い物をしてから、草刈りをしました。
Before
After
実は、Afterではないです。
草刈り機の切れ味が悪いので、途中で歯を交換しました。
その後、燃料が切れました。
時計を見たら正午前だったので、中断しました。
畑で収穫した玉ねぎと青じそを酢漬けにしました。
豚肉の焼きしゃぶの上に、酢漬けの玉ねぎと青じそをのせました。
いつも食べている豚肉の冷しゃぶよりも美味しかったです。
昨晩も引き続き、インカのめざめを素揚げしました。
これはこれで美味しいのですが、インカのめざめは栽培が難しいので、来年からはやめようと思います。
【関連ページ】
(アボカドの自然受粉で実が5つ)
(インカのめざめの栽培は難しい)
【下記ランキングに参加しています】

にほんブログ村

田舎暮らしランキング


にほんブログ村
先日のブログで報告した着果した5つは、今も残っています。
ネットで調べると、開花した花が結果するのは、1万分の1だそうです。
結果率は、0.01%です。
私の育てているアボカドは、数百個ほどしか開花していないので、収穫できる可能性はものすごく低いです。
アボカドは、ものすごく希少で貴重だと思います。
それなのに、スーパーに並んでいるメキシコ産のアボカドは、何故あんなに安いのか不思議です。
ネットで調べると、メキシコでは、年に4回開花し、4回収穫できるそうです。
なるほど、凄いですね!
昨日は、家事と買い物をしてから、草刈りをしました。
Before
After
実は、Afterではないです。
草刈り機の切れ味が悪いので、途中で歯を交換しました。
その後、燃料が切れました。
時計を見たら正午前だったので、中断しました。
畑で収穫した玉ねぎと青じそを酢漬けにしました。
豚肉の焼きしゃぶの上に、酢漬けの玉ねぎと青じそをのせました。
いつも食べている豚肉の冷しゃぶよりも美味しかったです。
昨晩も引き続き、インカのめざめを素揚げしました。
これはこれで美味しいのですが、インカのめざめは栽培が難しいので、来年からはやめようと思います。
【関連ページ】
(アボカドの自然受粉で実が5つ)
(インカのめざめの栽培は難しい)
【下記ランキングに参加しています】
にほんブログ村

田舎暮らしランキング

にほんブログ村
スポンサーリンク







