前立腺がんで、最悪の場合5年の余命宣告を受けてから4年が経ちました。
グリソンスコアが9で、主治医の先生から「深刻」と言われました。
グリソンスコア9は、バイデン前大統領と同じです。
治療後10年間再発しなければ、根治(完治)ということで、あと6年の経過観察です。
詳細は、下の【関連ページ】とブログのプロフィールページをご覧ください。
今となっては、前立腺がんがどうこうというよりも、余生が確実に減っていて、残りが少なくなっているという焦りがあります。
やり残したこと、やっておきたいことがあるのに、お袋の世話があって、なかなか自由になる時間がないというもどかしさがあります。
図書館で借りた本を読み終えました。
先月、図書館にリクエストを出したら、買ってくれました。
有り難いです。
森永卓郎さんは、余命宣告を受けてから、短距離走のように走り抜けられました。
凄い生き様です。
お金、仕事、人生について書かれた本です。
森永卓郎さんのような能力がないので、同じような生き方はできないです。
しかし、共感できること、参考になることが多いです。
以前のブログに書いたことがありますが、
「教養」のレベルが上がれば上がるほど、ムダな出費は自然と減る
は、名言であり、教訓にしています。
森永卓郎さんは、「教養を身につけること自体が一種のエンターテインメントになる。エンターテインメントはどこにも転がっている。ただ、エンターテインメントを楽しむ教養のない人は、お金でエンターテインメントを買うしかない。」と書いておられます。
ブランド信仰を卒業し、自分独自の「目利き力」を鍛えるという話も、とても共感しています。
「ブルシット・ジョブ」とは、いますぐ縁を切るというのも、よく理解できるのですが、現実的には難しいなと思います。
「ブルシット・ジョブ」とは、「クソどうでもいい仕事」です。
お金に拘ると、仕事に束縛され、大切な時間を失うと思います。
しかし、世の中の仕事は、ブルシット・ジョブが増えています。
仕事が自己実現に繋がることが、とても難しい時代だと思います。
先日読んだ『書いてはいけない』もよかったです。
←詳しい目次が載っています。
昨日の私のお昼ごはんです。
焼きそばです。
自分で作った新生姜の甘酢漬けが美味しいです。
何を思ったのか、これまでお裾分けなどを持って来たことのない姉が、賀茂茄子を1個持って来ました。
賀茂茄子を調理するのは初めてです。
水茄子に似ているのですが、食感は違いました。
お袋の晩ごはんに入れました。
左上は、お昼に作った焼きそばです。
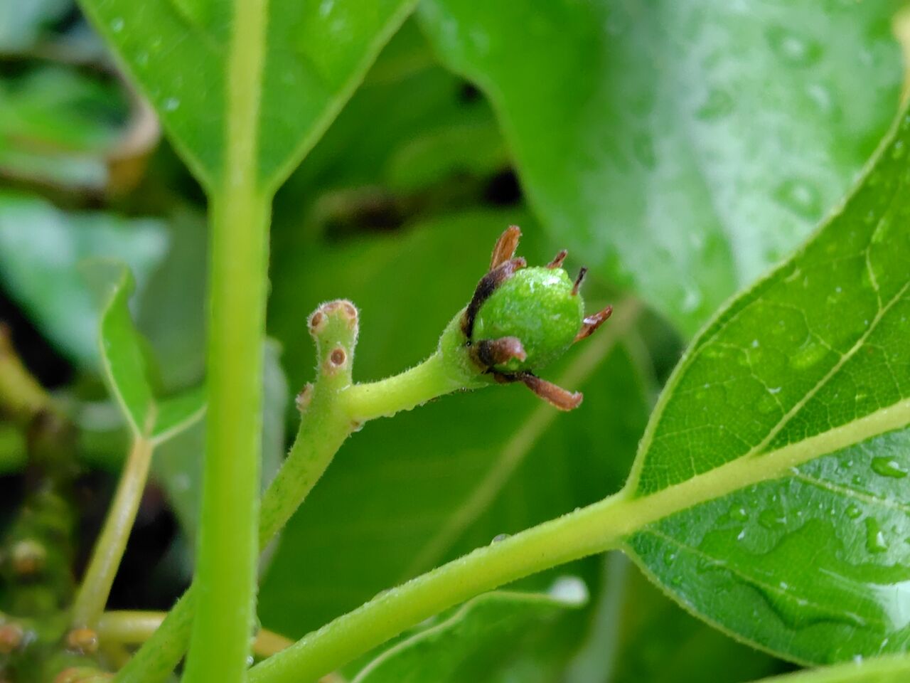
またまた、庭の鉢植えのアボカドです。
これまでは、綿棒の先ぐらいの大きさで、実が落ちました。
今年は、綿棒の先の2倍ほどの大きさになりました。
収穫できればいいのですが…。
アボカドの栽培に挑戦して、もう9年になります。
【関連ページ】
(がんの余命宣告から3年経った…)
(9年前からアボカドの栽培に挑戦)
【下記ランキングに参加しています】

にほんブログ村


田舎暮らしランキング


にほんブログ村
グリソンスコアが9で、主治医の先生から「深刻」と言われました。
グリソンスコア9は、バイデン前大統領と同じです。
治療後10年間再発しなければ、根治(完治)ということで、あと6年の経過観察です。
詳細は、下の【関連ページ】とブログのプロフィールページをご覧ください。
今となっては、前立腺がんがどうこうというよりも、余生が確実に減っていて、残りが少なくなっているという焦りがあります。
やり残したこと、やっておきたいことがあるのに、お袋の世話があって、なかなか自由になる時間がないというもどかしさがあります。
図書館で借りた本を読み終えました。
先月、図書館にリクエストを出したら、買ってくれました。
有り難いです。
森永卓郎さんは、余命宣告を受けてから、短距離走のように走り抜けられました。
凄い生き様です。
お金、仕事、人生について書かれた本です。
森永卓郎さんのような能力がないので、同じような生き方はできないです。
しかし、共感できること、参考になることが多いです。
以前のブログに書いたことがありますが、
「教養」のレベルが上がれば上がるほど、ムダな出費は自然と減る
は、名言であり、教訓にしています。
森永卓郎さんは、「教養を身につけること自体が一種のエンターテインメントになる。エンターテインメントはどこにも転がっている。ただ、エンターテインメントを楽しむ教養のない人は、お金でエンターテインメントを買うしかない。」と書いておられます。
ブランド信仰を卒業し、自分独自の「目利き力」を鍛えるという話も、とても共感しています。
「ブルシット・ジョブ」とは、いますぐ縁を切るというのも、よく理解できるのですが、現実的には難しいなと思います。
「ブルシット・ジョブ」とは、「クソどうでもいい仕事」です。
お金に拘ると、仕事に束縛され、大切な時間を失うと思います。
しかし、世の中の仕事は、ブルシット・ジョブが増えています。
仕事が自己実現に繋がることが、とても難しい時代だと思います。
先日読んだ『書いてはいけない』もよかったです。
←詳しい目次が載っています。
昨日の私のお昼ごはんです。
焼きそばです。
自分で作った新生姜の甘酢漬けが美味しいです。
何を思ったのか、これまでお裾分けなどを持って来たことのない姉が、賀茂茄子を1個持って来ました。
賀茂茄子を調理するのは初めてです。
水茄子に似ているのですが、食感は違いました。
お袋の晩ごはんに入れました。
左上は、お昼に作った焼きそばです。
またまた、庭の鉢植えのアボカドです。
これまでは、綿棒の先ぐらいの大きさで、実が落ちました。
今年は、綿棒の先の2倍ほどの大きさになりました。
収穫できればいいのですが…。
アボカドの栽培に挑戦して、もう9年になります。
【関連ページ】
(がんの余命宣告から3年経った…)
(9年前からアボカドの栽培に挑戦)
【下記ランキングに参加しています】
にほんブログ村


田舎暮らしランキング

にほんブログ村
スポンサーリンク








